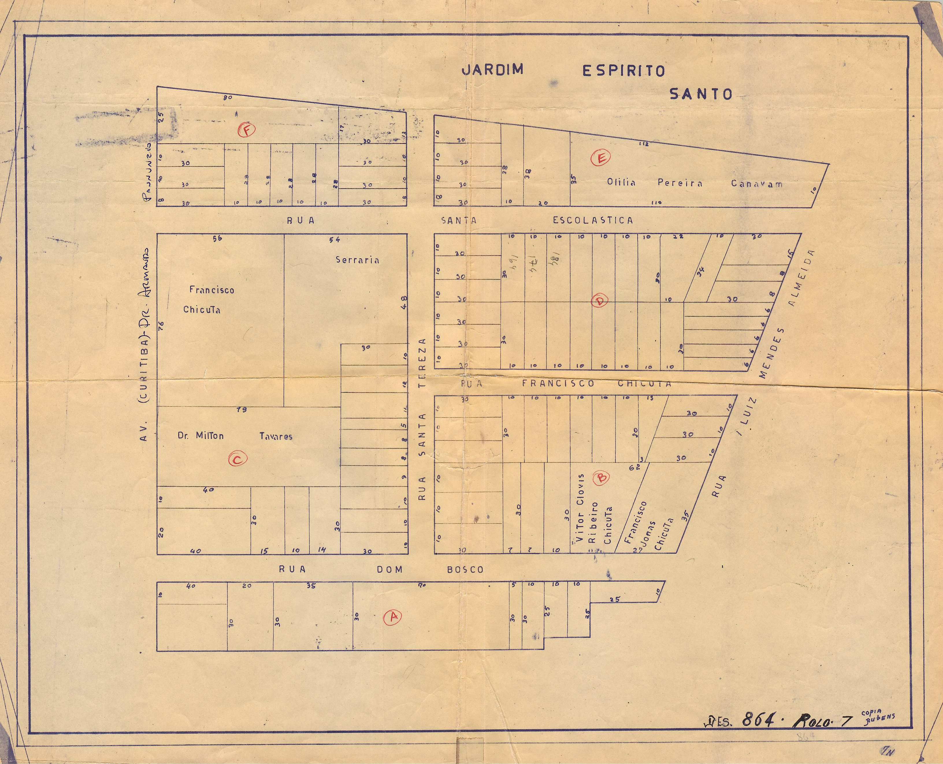
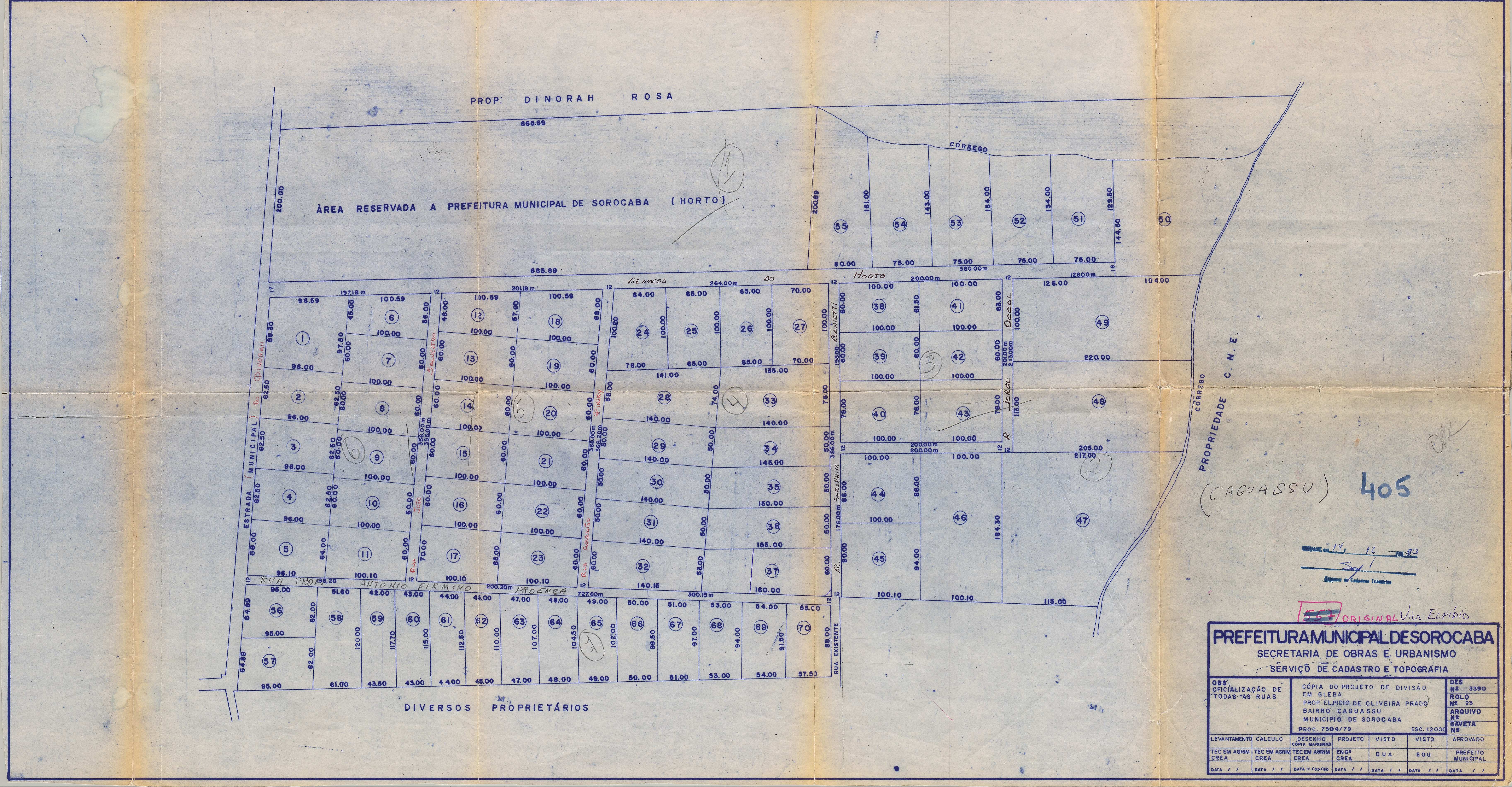
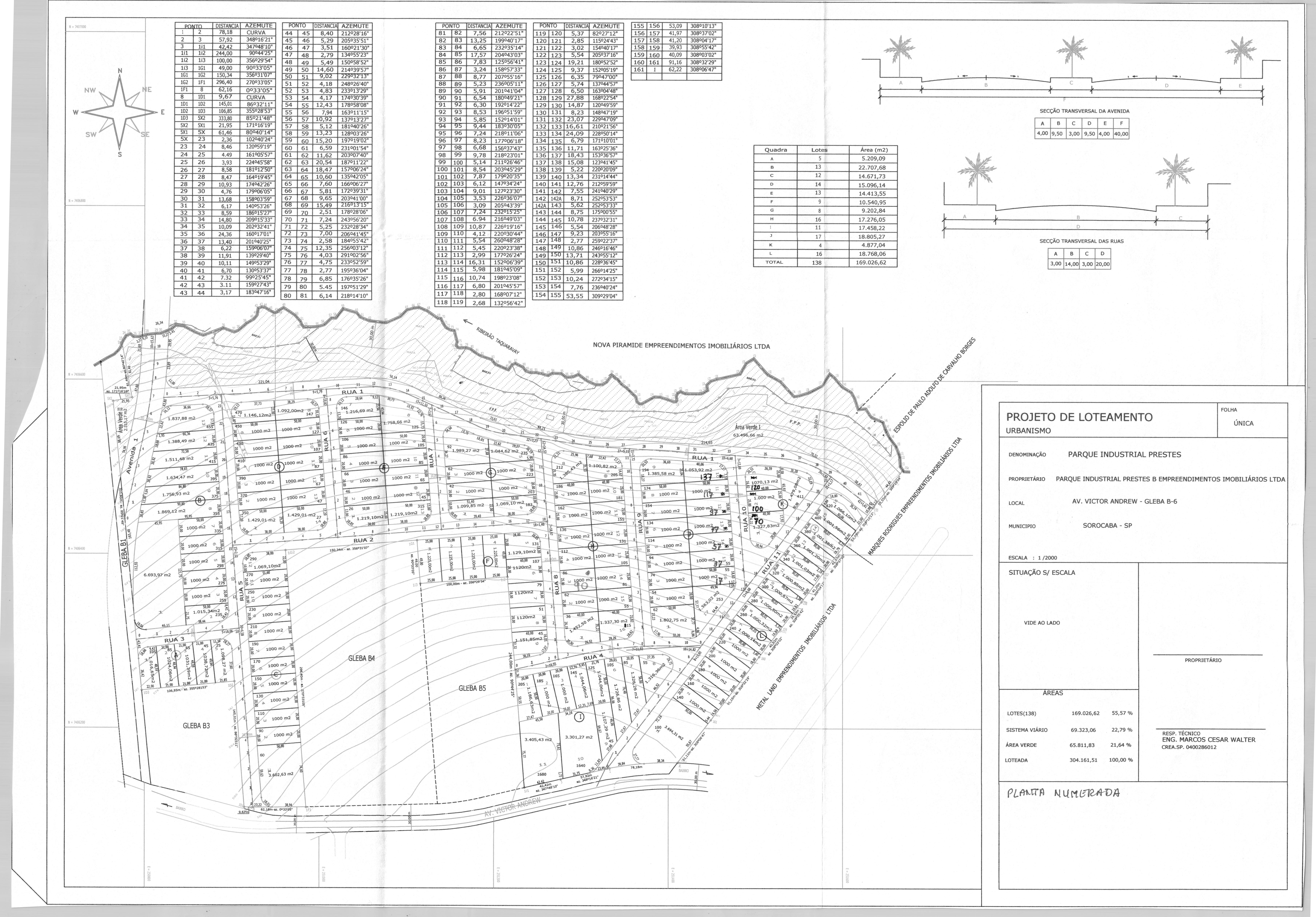
Loteamentos e Áreas Públicas Veja abaixo o quadro de loteamentos e o mapa das áreas públicas de Sorocaba. 1. Áreas PúblicasMapa de Áreas Públicas.pdf2. Plantas LoteamentosPlantasAAeroporto, VilaAeroporto, Vila - 01.jpgAeroporto, Vila - 02.jpgAlmeida, VilaAlmeida, Vila.jpgAlmeida - Desmembramento, Vila.jpgAna Moreno, JardimAna Moreno, Jardim - 01.jpgAna Moreno, Jardim - 02.jpgAracelis, VilaAracelis, Vila - 2.jpgAracelis, Vila.jpgAbaete, Jardim.jpgAbatia, Jardim.jpgAbreu, Vila.tifAcácia, Jardim.jpgAcácias Bairro do Matadouro, Jardim das.jpgAdonias Nobrega de Almeida, Vila.jpgAdélia, Vila.jpgAlcolea, Vila.jpgAldeia de São José.tifAlegria, Jardim.tifAlfa, Jardim Empresarial.tifAlice, Vila.jpgAlpes de Sorocaba, Jardim.tifAlpino, Jardim.jpgAltos do Ipanema, Jardim.pdfAltos do Itavuvu, Jardim.jpgAlvorada, Jardim.jpgAmato, Jardim Residencial Villa.tifAmetista, Jardim.pdfAmália, Jardim.tifAmélia, Vila.jpgAmérica, Jardim.jpgAna Maria, Condomínio Rural.jpgAna Maria, Jardim.jpgAna Paula Eleuterio Habiteto, Conjunto Habitacional.tifAndrea Pilungo, Jardim.jpgAngelo Vial, Jardim.jpgAntão, Vila Odim.jpgAntão Arruda, Chácaras.jpgAntúrios, Jardim dos.tifAristocrata, Jardim.tifArruda, Vila.tifAsseituno, Vila.jpgAssis, Vila.tifAstro, Jardim.jpgAtílio Silvano, Jardim.jpgAugosto, Vila.jpgAugusta, Vila.tifAvenida Itavuvu, Conjunto Habitacional Popular de Interesse Social.jpgAzaleas, Jardim das.tifAzzi, Vila.jpgBBarcelona, VilaBarcelona 01, Vila.jpgBarcelona 02, Vila.jpgBarcelona 03, Vila.jpgBethania, JardimBethania, Jardim - 01.jpgBethania, Jardim - 02.jpgBethania, Jardim - 03.jpgBoa Vista, Bairro daBoa Vista, Bairro da - 01.jpgBoa Vista, Bairro da.jpgBosques de São BentoBosques de São Bento I.jpgBosques de São Bento II.jpgBadini, Vila.jpgBalbina, Vila.jpgBandeirante ou Mencacci, Vila.tifBandeirantes, Jardim.jpgBaronesa, Jardim.jpgBarros, Vila.jpgBarros França, Jardim.jpgBarão de Tatui, Jardim.jpgBela, Vila.jpgBela Vista, Jardim.jpgBelvedere, Jardim.jpgBenedito Cleto, Conjunto Habitacional Professor.tifBermejo, Jardim.jpgBertanha, Jardim.jpgBoa Esperança, Jardim.pdfBoa Vista, Vila.jpgBom Jesus, Vila.jpgBonsucesso, Jardim.tifBorghesi, Villa.tifBotelho, Vila.jpgBotucatu, Jardim.jpgBotânico, Jardim.jpgBouganville, Jardim Residencial.pdfBouganville, Jardim Residencial.tifBrasilândia, Jardim.jpgBrigadeiro, Jardim.jpgBuenópolis, Vila.tifCCaguassu e Recanto das Jurutis, Bairro doCaguassu e Recanto das Jurutis, Bairro do - 01.jpgCaguassu e Recanto das Jurutis, Bairro do - 02.jpgCaguassu e Recanto das Jurutis, Bairro do - 03.jpgCampos do Conde, Jardim ResidencialCampos do Conde I, Jardim Residencial.tifCampos do Conde II, Jardim Residencial.tifCarvalho, VilaCarvalho, Vila - Quadra 43.tifCarvalho, Vila.tifCasabranca, JardimCasabranca I, Jardim.jpgCasabranca II, Jardim.jpgChácaras São JoãoChácaras São João - B.jpgChácaras São João.jpgColorau, VilaColorau I, Vila.jpgColorau II, Vila - 01.jpgColorau II, Vila - 02.jpgCalifórnia, Jardim.tifCamargo, Vila.jpgCambará, Jardim.pdfCamila, Jardim.jpgCampolim, Parque.jpgCampos, Vila.jpgCapitão, Jardim.jpgCardoso, Jardim.tifCarmen Blanco, Jardim Residencial.tifCarmo, Jardim do.jpgCarol, Vila.jpgCarolina, Jardim.tifCasanova, Vila.tifCassia Maria, Jardim.jpgCastanheira, Jardim Residencial.tifCastello 90, Loteamento Urbano.tifCecílio Manoel, Jardim.jpgCeleste, Jardim.jpgCelisa Maria, Jardim.jpgCentro Empresarial Alfa, Jardim.tifCentro Empresarial Sorocaba.pdfCerrado.jpgChiquita, Vila.tifChácara Caracante, Jardim Sandra.jpgChácara Ondina, Parque Residencial.tifChácara Refúgio, Jardim.jpgChácaras Castello, Jardim.tifChácaras São Judas Tadeu.jpgChácaras Três Marias.jpgCidade Jardim.tifClara Margarida, Vila.jpgColinas de São Guilherme, Jardim.jpgColinas do Sol, Jardim Residencial.tifColina Verde, Chácaras da.jpgColonial, Jardim.jpgColégio e Salesiano, Jardins do.jpgConceição, Jardim.jpgConstantino Mattucci, Jardim.jpgCooperteto.tifCopaiba, Jardim.tifCosta Dias, Jardim.jpgCruzeiro do Sul, Jardim.tifCrystal, Vila.jpgCândido Ribeiro, Vila.jpgDDacha Sorocaba, Jardim.tifDalmatas, Vila dos.jpgDebora, Jardim.jpgDeolinda Guerra, Jardim Residencial.tifDias Lopes, Jardim.jpgDionizia, Vila.jpgDi Parma, Residencial.tifDois corações - Fase II, Jardim.jpgDona Tereza, Jardim.pdfDona Tereza, Jardim.tifDouglas Lara, Vila.jpgDoutor Tavares, Jardim.jpgDulce, Jardim.jpgDálias, Jardim Residencial das.tifEEugênio Silvano, JardimEugênio Silvano, Jardim - 02.jpgEugênio Silvano, Jardim.jpgEdgar Marques, Jardim.jpgEliana, Jardim.tifElias, Vila.jpgElton Ville II, Jardim.jpgElza, Vila.jpgEmbaixador, Jardim.jpgEmilio Peres, Vila.jpgEmília, Jardim.jpgEros, Vila.jpgEsmeralda, Parque.tifEsperança, Vila.jpgEspírito Santo, Jardim.jpgEstados, Jardim.pdfEstrelas, Jardim das.jpgEucaliptos, Jardim dos.tifEufrásio, Vila.tifEuropa, Jardim.jpgExcelsior, Vila.jpgÉden Ville, Jardim.tifFFaculdade, Jardim.jpgFazenda Imperial, Parque Reserva.tifFazenda Jequitibá, Parque Ecoresidencial.PDFFerreira, Jardim.jpgFerreira Leão, Vila.jpgFiore, Vila.jpgFlamboyant, Jardim.tifFlorença, Jardim.tifFlores, Jardim das.jpgFlorinda, Vila.jpgFormosa, Vila.jpgFrancini, Jardim.jpgFranco, Vila.jpgGGolden Park Residence, JardimGolden Park Residence, Jardim.tifGolden Park Residence I, Jardim.pdfGolden Park Residence II, Jardim.pdfGranja Olga, JardimGranja Olga I, Jardim.jpgGranja Olga II, Jardim.jpgGranja Olga III, Jardim.jpgGuadalupe, JardimGuadalupe, Jardim - 01.tifGuadalupe, Jardim - 02.tifGuaiba, JardimGuaiba 1, Jardim.jpgGuaiba 2, Jardim.jpgGuanabara, JardimGuanabara, Jardim - 01.jpgGuanabara, Jardim - 02.jpgGabriel, Vila.jpgGarrido, Vila.jpgGerminiani, Jardim.jpgGiverny, Jardim Residencial.tifGomes, Vila.jpgGonçalves, Jardim.jpgGracinda, Vila.jpgGramados de Sorocaba.tifGranja Deolinda, Jardim.tifGuadalajara I, Jardim.jpgGualberto Moreira, Jardim.jpgGuaporé, Jardim Residencial.tifGuarujá, Jardim.jpgGuilherme, Vila.jpgGuimarães, Vila.jpgHHaro, VilaHaro, Vila - 01.jpgHaro, Vila - 02.jpgHelena, VilaHelena, Vila - 01.jpgHelena, Vila - 02.jpgHerbert de Souza, Conjunto HabitacionalHerbert de Souza, Conjunto Habitacional - 01.tifHerbert de Souza, Conjunto Habitacional - 02.tifHerbert de Souza, Conjunto Habitacional - 03.tifHortência, VilaHortência I, Vila.tifHortência II, Vila.jpgHortência IV, Vila.tifHabitacional, Jardim.jpgHelena Cristina, Jardim.jpgHelena Maria, Jardim Residencial.pdfHenrique, Jardim.jpgHorizonte, Jardim.tifHorto Florestal, Parque Residencial.tifHorto Florestal Villagio, Jardim Residencial.pdfHungarês, Jardim.jpgIItanguá, JardimItanguá I, Jardim.jpgItanguá II, Jardim.jpgItapemirim, JardimItapemirim, Jardim - 01.tifItapemirim, Jardim - 02.tifIbirapuera, Jardim Residencial.tifIbiti do Paço, Parque.pdfIbiti do Paço III.jpgIbiti Reserva, Parque.tifIbiti Royal Park, Parque.tifIda Maria, Chácaras Reunidas.jpgImperatriz, Jardim Residencial.tifImperial, Jardim.jpgIndependência, Vila.tifIndustrial Prestes, Parque.jpgInglesa, Vila.tifIpanema, Jardim.tifIpanema, Jardim Reserva.pdfIpanema das Pedras.jpgIpanema Ville, Jardim.tifIpiranga, Jardim.tifIsadora, Vila.tifIsafer, Jardim.jpgIsaura, Jardim.jpgItapoá, Jardim.jpgItatinga, Jardim.tifItália, Jardim.tifIzabel, Jardim.jpgIzabel Garrido, Vila.jpgJJoão Gutierres, JardimJoão Gutierres, Jardim - 01.jpgJoão Gutierres, Jardim - 02.jpgJ. S. Carvalho I, Jardim.bmpJandira Leão, Vila.jpgJardim, Residencial Jardim.pdfJardini, Vila.jpgJatobá, Jardim.jpgJorge Guilherme Senger, Distrito Industrial.jpgJosane, Jardim.jpgJosefina, Vila.jpgJoão Rodrigues Bueno, Vila.jpgJoão Romão, Sabiá e Zacarias, Vilas.jpgJudith, Jardim.jpgJulia Martinez, Jardim Residencial.tifJuliana, Jardim Vila.jpgJúlio de Mesquita Filho, Conjunto Habitacional .pdfLLeocádia, JardimLeocádia, Jardim - 01.jpgLeocádia, Jardim - 02.jpgLeocádia, Jardim - 03.jpgLeocádia, Jardim.jpgLos Angeles, JardimLos Angeles I, Jardim.jpgLos Angeles II, Jardim.tifLuciana Maria, JardimLuciana Maria I, Jardim.jpgLuciana Maria II, Jardim.jpgLeandro Dromani, Jardim.jpgLe France, Jardim Residencial.tifLena, Jardim.tifLeonardo Kehdi, Parque.tifLeopoldina, Vila.jpgLiberdade, Jardim.jpgLouzada, Vila.jpgLuci, Vila.jpgMMaria do Carmo, JardimMaria do Carmo, Jardim - 01.jpgMaria do Carmo, Jardim - 02.jpgMonterrey, JardimMonterrey I, Jardim.jpgMonterrey II, Jardim.jpgMorumby, JardimMorumby I, Jardim.jpgMorumby II, Jardim.jpgMorumby III, Jardim.jpgMorumby IV, Jardim.jpgMagalhães, Vila.tifMagnólia, Jardim.jpgManchester, Parque.jpgMangueiras, Parque Empresarial das.PDFManoel Affonso, Jardim.jpgMarcelo Augusto, Jardim.jpgMarcia, Vila.jpgMarginal, Jardim.jpgMaria, Jardim.tifMaria, Vila.jpgMaria Antonia Prado, Jardim.jpgMaria Christina, Jardim.jpgMaria dos Prazeres, Vila.jpgMaria Elvira, Jardim.tifMaria Eugênia, Jardim.jpgMariana, Jardim.jpgMariana, Vila.jpgMarina Dias, Vila.tifMarita e Pedreira Sorocaba, Jardim.jpgMarize, Jardim.jpgMarly, Jardim.jpgMarnilda, Jardim.jpgMarques, Vila.jpgMarta, Jardim Santa.pdfMarta, Vila.jpgMartinez, Jardim Residencial.tifMatadouro, Jardim das Acácias Bairro do.jpgMathilde, Jardim.jpgMatilde Gavin, Jardim.jpgMelges, Vila.jpgMencacci ou Bandeirante, Vila.tifMillenniun, Jardim Residencial.tifMineirão, Vila.tifMirante do Ipanema, Condomínio.jpgMoncayo, Jardim.jpgMont Blanc, Jardim Residencial.tifMonte Alpinus, Jardim.jpgMontevidéo, Jardim.bmpMonte Yehi, Jardim.jpgMontreal, Jardim.tifMorada das Artes, Jardim Residencial.tifMorada das Flores, Jardim Residencial.tifMorada do Sol, Jardim.tifMércia Maria, Jardim.jpgNNeusa Maria, JardimNeusa Maria, Jardim - 01.jpgNeusa Maria, Jardim - 02.jpgNova Asturias, JardimNova Asturias, Jardim - 01.jpgNova Asturias, Jardim - 02.jpgNova SorocabaNova Sorocaba I.tifNova Sorocaba II.tifNair, Jardim.jpgNapoli, Jardim.tifNathália, Parque Jardim.pdfNetinho, Vila do.jpgNilton Torres, Jardim.tifNogueira, Jardim.jpgNorcross, Jardim.jpgNossa Senhora Aparecida, Chácaras Reunidas.jpgNossa Senhora Aparecida, Jardim.jpgNova, Vila.jpgNova Aparecidinha, Jardim.bmpNova Esperança, Jardim.jpgNova Ipanema, Jardim.jpgNova Manchester, Jardim.jpgNovo Bandeirante, Jardim.jpgNovo Cajuru, Jardim.tifNovo Eldorado, Jardim.jpgNovo Horizonte, Jardim.jpgNovo Mundo, Jardim.jpgNovo Éden, Jardim.jpgOOndina, VilaOndina, Vila - 01.jpgOndina, Vila - 02.jpgOuro Fino, Parque ResidencialOuro Fino, Parque Residencial - 01.jpgOuro Fino, Parque Residencial - 02.jpgOdim Antão, Vila.jpgO Eldorado, Jardim.jpgOlga, Vila.jpgOlympia, Jardim Residencial Villa.tifOlímpia, Vila.jpgOrquídeas, Jardim das.pdfPParaná, JardimParaná, Jardim - 01.jpgParaná, Jardim - 02.jpgPaulistano, JardimPaulistano, Jardim - 01.tifPaulistano, Jardim - 02.tifPerimetral, JardimManoel Lopes - Quadra B.jpgPerimetral, Jardim.jpgVila Granada.jpgPiazza di Roma, JardimPiazza di Roma I, Jardim.tifPiazza di Roma II, Jardim.tifPinheiros, VilaPinheiros, Vila - A.jpgPinheiros, Vila - B.jpgPortal do ÉdenPortal do Éden I.jpgPortal do Éden II.jpgPrimavera, Chácaras ReunidasPrimavera, Chácaras Reunidas - 01.tifPrimavera, Chácaras Reunidas - 02.tifPacaembu, Jardim.jpgPaes de Almeida, Jardim.jpgPagliato, Jardim.jpgPaineiras I, Parque das.jpgPalamidese, Jardim Residencial.tifPalmeiras, Vila.jpgPalmiro, Jardim.tifPampulha, Jd Residencial.pdfPanamericano Condomínio Empresarial, Jardim.pdfPanorama, Jardim.jpgParada do Alto, Jardim.jpgParaizo, Vila.jpgParaíso, Jardim.jpgParis, Vila.jpgPatrizia, Chácaras Reunidas.jpgPaulista, Jardim.tifPaço, Jardim do.jpgPedreira Sorocaba, Jardim Marita e.jpgPedro José Ribeiro, Vila.jpgPelegrino, Jardim.jpgPiedade, Vila.jpgPinheiros, Vila Popular dos.jpgPiratininga, Jardim.jpgPitangui, Jardim.jpgPlanalto, Jardim.jpgPortal da Colina, Jardim.jpgPortal da Primavera, Jardim.tifPortal da Raposo.jpgPortal de São Francisco.jpgPortal do Itavuvu, Jardim.tifPortobello, Jardim.tifPortugal, Jardim.tifPrestes de Barros, Jardim.tifPrimavera, Jardim.tifPrimavera, Vila.jpgProgresso, Vila.jpgPássaros, Jardim dos.tifPétalas, Jardim Residencial.pdfQQuintais do ImperadorQuintais do Imperador I.tifQuintais do Imperador II.jpgRRecanto das Jurutis, Bairro do CaguassuRecanto das Jurutis, Bairro do Caguassu e - 01.jpgRecanto das Jurutis, Bairro do Caguassu e - 02.jpgRecanto das Jurutis, Bairro do Caguassu e - 03.jpgRecreio MarajoaraRecreio Marajoara - 01.jpgRecreio Marajoara - 02.jpgRegente, JardimRegente, Jardim - 01.tifRegente, Jardim - 02.pdfRetiro São LeopoldoRetiro São Leopoldo - 01.jpgRetiro São Leopoldo - 02.jpgRica, VilaRica, Vila - 01.jpgRica, Vila - 02.jpgRodrigues, VilaRodrigues, Vila - 01.tifRodrigues, Vila - 02.jpgRodrigues, Vila - 03.tifRosa Maria, JardimRosa Maria, Jardim.jpgRosa Maria - Quadra A-B, Jardim.jpgRancho Dirce, Condomínio.jpgReal, Jardim.jpgRecanto Jataí.tifRecreio dos Sorocabanos.jpgRedenção, Jardim.jpgRefúgio, Jardim.jpgRefúgio, Jardim Chácara.jpgReis, Jardim Residencial dos.tifRenascence, Jardim Residencial.tifRenascer - Sorocaba-H, Jardim.tifReserva Ipanema, Jardim.pdfReserva Ipanema 2, Jardim.pdfRetiro São João, Chácaras Reunidas.jpgRiva, Vila.jpgRodrigo, Jardim do.jpgRomano Delgado, Vila.tifRomilda, Jardim.jpgRosconi, Jardim.jpgRosária Alcoléa, Jardim.jpgRubi, Jardim.tifRádio Clube, Vila.jpgSSaint Patrick, Jardim ResidencialSaint Patrick, Jardim Residencial.tifSaint Patrick 2, Jardim Residencial.pdfSanta Catarina, JardimSanta Catarina, Jardim.tifSanta Catarina, Jardim 2-3.pdfSanta Cláudia, JardimSanta Cláudia I, Jardim.jpgSanta Cláudia II, Jardim.jpgSanta Maria, Chácaras de RecreioSanta Maria, Chácaras de Recreio - 01.jpgSanta Maria, Chácaras de Recreio - 02.jpgSanta Marina, JardimSanta Marina I, Jardim.jpgSanta Marina II, Jardim.jpgSanta Paula, JardimSanta Paula, Jardim.tifSanta Paula II, Jardim.tifSanta Rita, VilaSanta Rita, Vila - A.jpgSanta Rita, Vila - B.tifSeriema, JardimSeriema, Jardim - 2.jpgSeriema, Jardim.tifSol Nascente, JardimSol Nascente, Jardim.jpgSol Nascente I, Jardim.jpgSol Nascente II, Jardim.jpgSueleny Maria, JardimSueleny Maria I, Jardim.jpgSueleny Maria II, Jardim.jpgSão Bento, ParqueSão Bento - Setor A, Parque.jpgSão Bento - Setor B, Parque.jpgSão Bento - Setor C, Parque.pdfSão Bento - Setor D, Parque.pdfSão Guilherme, JardimSão Guilherme I, Jardim.tifSão Guilherme II, Jardim.tifSão Guilherme III, Jardim.tifSaint Monique, Jardim.jpgSaira, Jardim.jpgSalesiano, Jardins do Colégio e.jpgSampaio, Jardim.jpgSandra Chácara Caracante, Jardim.jpgSan Rafael, Jardim.jpgSanta Bárbara, Jardim.jpgSanta Cecília, Jardim.jpgSanta Clara, Jardim.jpgSanta Clara, Vila.jpgSantaCristina, Parque.pdfSanta Esmeralda, Jardim.tifSanta Francisca, Vila.tifSanta Fé, Jardim.jpgSanta Helena, Jardim.tifSanta Isabel, Parque.jpgSanta Lucia, Jardim.tifSanta Luiza, Jardim.jpgSanta Madre Paulina, Jardim.tifSanta Marta, Jardim.pdfSanta Márcia, Jardim.jpgSanta Mônica, Jardim.jpgSanta Rosa, Jardim.tifSanta Rosália, Jardim.jpgSanta Terezinha, Vila - A.jpgSanta Theresa, Vila.jpgSantinon, Jardim Residencial.tifSanto Agostinho, Jardim.jpgSanto Amaro, Jardim.tifSanto André, Jardim.jpgSaúde, Vila da.jpgSene, Vila.jpgSenger, Vila.jpgSilveira, Vila.jpgSimus, Jardim.tifSoares, Jardim.jpgSoares, Vila.jpgSol, Jardim do.tifSolar do Bosque, Jardim.tifSonia, Vila.jpgSonia Maria, Jardim.tifSorocaba e Rua Xavier de Toledo, Conjunto Habitacional.tifSorocaba H, Jardim Renascer.tifSorocabano, Jardim.jpgSorocabanos, Recreio dos.jpgSorocaba Park, Jardim.tifSouza Pinto, Vila.jpgSueli, Jardim.jpgSunset Village, Jardim.tifSão Bento, Jardim.jpgSão Bernardo, Vila.jpgSão Camilo, Jardim.jpgSão Carlos, Jardim.jpgSão Conrado, Jardim.jpgSão Domingos, Jardim Villa.tifSão Fernando, Jardim.jpgSão Francisco, Vila.jpgSão Joaquim, Conjunto.tifSão Jorge, Chácaras Reunidas.jpgSão José, Aldeia de.tifSão José, Vila.jpgSão João, Vila.jpgSão Judas Tadeu, Vila.jpgSão Lorenzo, Jardim.jpgSão Lucas, Jardim.jpgSão Luiz, Chácaras.jpgSão Luiz, Jardim.jpgSão Luiz, Vila.jpgSão Marcos, Jardim.jpgSão Matheus, Jardim.jpgSão Pedro, Vila.jpgTTatiana, JardimTatiana, Jardim - 01.jpgTatiana, Jardim - 02.jpgTrês Meninos, ParqueTrês Meninos, Parque - 2.jpgTrês Meninos, Parque.jpgTulipas, Jardim dasTulipas, Jardim das - 01.tifTulipas, Jardim das - 02.pdfTupinambá, JardimTupinambá, Jardim - 02.jpgTupinambá, Jardim.tifTereza Maria, Jardim Residencial.PDFTerra Nova Rodobens Sorocaba, Condomínio Residencial.tifTerras D'oro, Jardim Residencial.tifTerras de Arieta, Jardim Residencial.tifTerras de São Francisco, Jardim.PDFTerras de São Judas, Chácaras de Recreio.tifTerras de São Lucas, Residencial.pdfTerras do Sol Poente.jpgTerron, Vila.jpgTheodolinda 2, Vila.jpgTivoli Park, Jardim Residencial.tifTopázio, Jardim.tifTortelli, Vila.jpgTriângulo - Extra Oficial, Jardim.tifTropical, Jardim.tifTrujillo, Vila.jpgTupã, Vila.jpgTurmalina, Jardim.tifUUlysses Guimarães, Conjunto Habitacional DrUlysses Guimarães, Conjunto Habitacional Dr. - 01.jpgUlysses Guimarães, Conjunto Habitacional Dr. - 02.jpgUlysses Guimarães, Conjunto Habitacional Dr. - 03.jpgUlysses Guimarães, Conjunto Habitacional Dr. - 04.jpgUirapuru, Jardim.jpgVVitória Régia, ParqueVitória Régia, Parque.jpgVitória Régia III, Parque.jpgVivendas do Lago, JardimVivendas do Lago I, Jardim.jpgVivendas do Lago II, Jardim.jpgVale D'Oro, Jardim.tifVale do Lago, Jardim Residencial.tifValença, Jardim Residencial.tifValera, Jardim.jpgVale Verde, Jardim Residencial.pdfVem Viver, Residencial.tifVergueiro, Jardim.jpgVergínia, Jardim.pdfVersailles, Jardim Residencial.tifVia Reggio, Jardim Residencial.tifVia Veneto, Residencial.tifVicente de Moraes, Jardim Residencial.tifVicente Silvano, Jardim.jpgVilazul, Jardim Residencial.tifVilla Amato, Jardim Residencial.pdfVilla D'España, Jardim Residencial.tifVilla do Bosque, Jardim Residencial.tifVilla dos Inglezes, Parque Residencial.tifVillage Cajuru, Jardim.tifVillage D'Avignon, Condomínio Residencial.jpgVillage Saint Claire, Jardim.tifVillage Verti, Jardim Residencial.jpgVillaggio Ipanema I, Jardim Residencial.pdfVillaggio Ipanema II, Jardim Residencial.tifVillaggio Sola, Jardim.tifVillagio Italia, Jardim.pdfVillagio Milano, Jardim.tifVillagio Torino, Jardim.tifVilla Italiana, Residencial.tifVilla Suiça, Jardim Residencial.tifVilla São Domingos, Jardim.tifVilla Verona, Jardim.tifVista Barbára, Parque.pdfVittório Emanuelle, Jardim Residencial.pdfVivendas do Itavuvu, Jardim Residencial.tifWWanel Ville, JardimWanel Ville 01, Jardim.tifWanel Ville 03, Jardim.tifWanel Ville 04, Jardim.tifWanel Ville 05, Jardim.tifWanel Ville A, Jardim.jpgWanel Ville K, Jardim.tifWilma, Jardim.jpgXXavier de Toledo, Conjunto Habitacional e Rua.tifYYaya, JardimYaya, Jardim - 01.jpgYaya, Jardim - 02.jpgYolanda, Villa.jpgZZacarias, Vilas João Romão, Sabiá e.jpgZamparini, Vila.jpgZeferino Santana.jpgZezo Miguel, Jardim.jpgZulmira, Jardim.jpg3. Informações sobre Novos LoteamentosQuadro loteamento FEV 2026.pdf